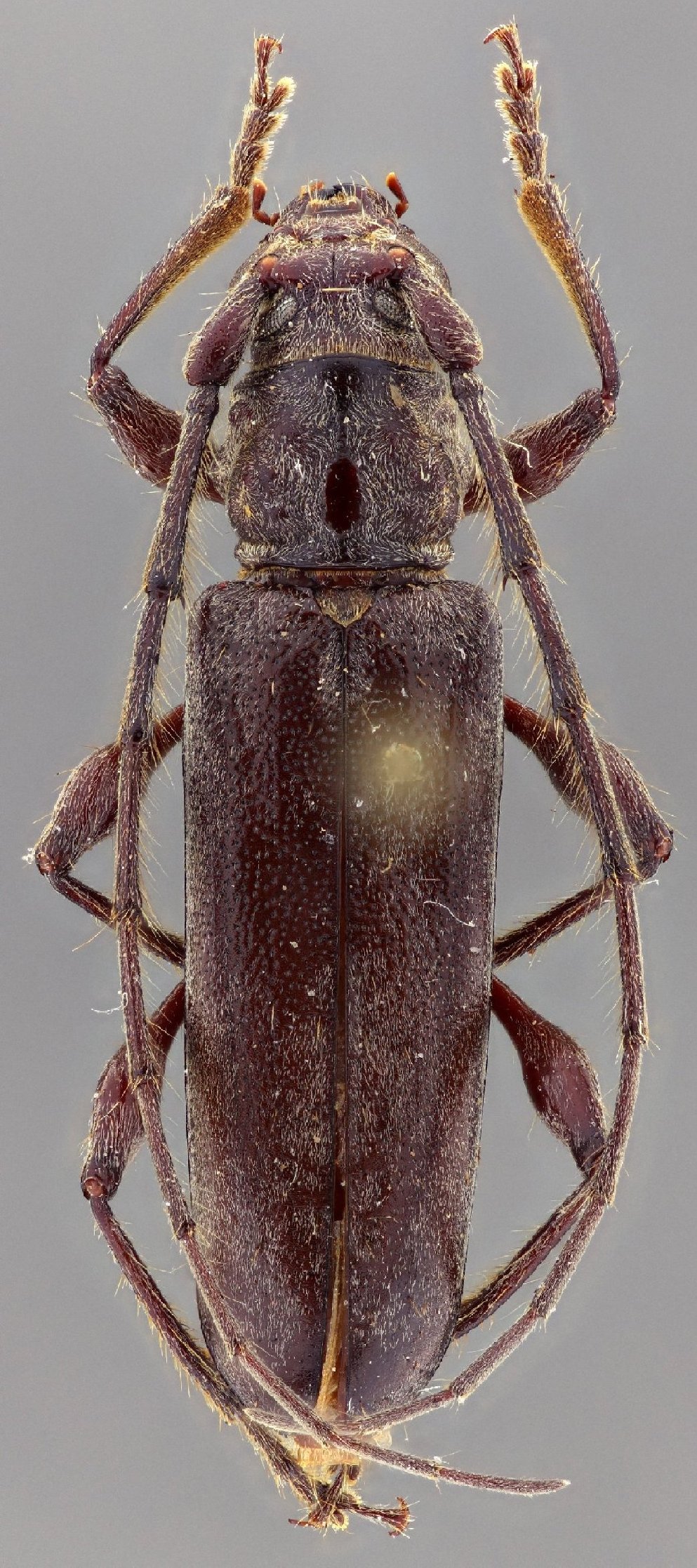
 Burmeister MZSP Tucuman, Argentina JPB.jpg)
Sex: m Photographer: Juan Pablo Botero Collection Location: Tucuman, Argentina 76185
|
 Burmeister MZSP Tucuman, Argentina JPB.jpg)
Sex: m Photographer: Juan Pablo Botero Collection Location: Tucuman, Argentina 76186
|
 Burmeister MZSP Tucuman, Argentina JPB.jpg)
Sex: m Photographer: Juan Pablo Botero Collection Location: Tucuman, Argentina 76187
|
 Burmeister MZSP Salta, Argentina JPB.jpg)
Sex: f Photographer: Juan Pablo Botero Collection Location: Salta, Argentina 76188
|
 Burmeister MZSP Salta, Argentina JPB.jpg)
Sex: f Photographer: Juan Pablo Botero Collection Location: Salta, Argentina 76189
|
 Burmeister MZSP Salta, Argentina JPB.jpg)
Sex: f Photographer: Juan Pablo Botero Collection Location: Salta, Argentina 76190
|