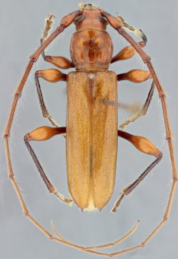
_White_BMNH_Brazil_LGB.jpg)
Specimen Type: holotype Institution: BMNH British Museum Natural History, London, UK Photographer: Larry G. Bezark Collection Location: Brazil 47322
|
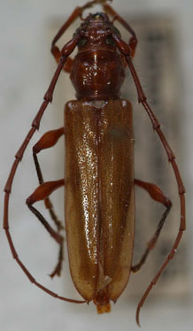
_Napp_and_Martins_MZSP_SWL.jpg)
Periboeum aduncum Napp & Martins Specimen Type: holotype Sex: f Institution: MZSP Museu de Zoologia da Universidade de São Paulo, Brazil Photographer: Steve Lingafelter Collection Location: Linhares, Espirito Santo, Brazil 11843
|