New Search Family, Subfamily and Tribe List

SubFamily Lamiinae

Tribe Eunidiini
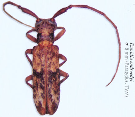
Eunidia endroedyi Breuning 1981

Specimen Type: paratype
Sex: f
Institution: Transvaal Museum of Pretoria
Photographer: Karl Adlbauer
Collection Location: Namibia
40336

130425