
Institution: MNRJ Museu Nacional Universidade do Rio Janeiro, Brazil Photographer: Marcela Monne Collection Location: Serro do Caraca, Minas Gerais, Brazil 62328
|
_(Gounelle)_Iguacu_Falls_Parana_Brazil_Rafael_Barros_pic.jpg)
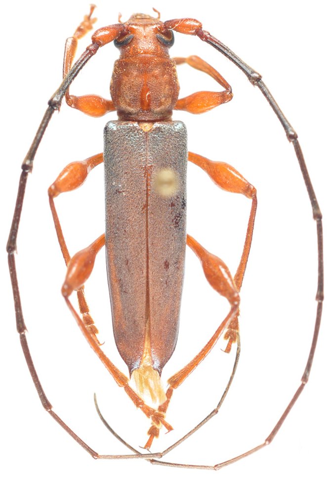
Sex: f Institution: MZUEL Museum of Zoology, State University of Londrina, Brazil Photographer: Rafael Barros Collection Location: Iguaçu Falls, Paraná, Brazil 74418
|