_Viktora_Coll_Mt_Argopuro_East_Java_Indonesia_Vikt.jpg)
Specimen Type: holotype Sex: m Institution: Viktora Collection Photographer: Petr Viktora Collection Location: Mt Argopuro, East Java, Indonesia 71391
|
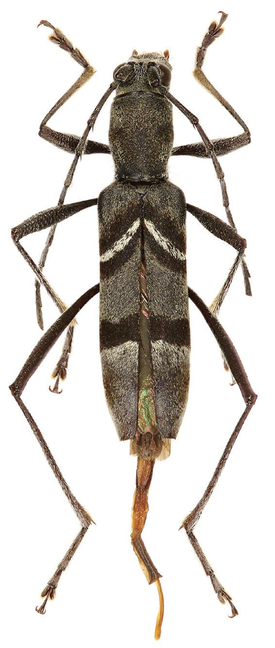
_Viktora_Coll_Mt_Argopuro_East_Java_Indonesia_Vikt.jpg)
Specimen Type: paratype Sex: f Institution: Viktora Collection Photographer: Petr Viktora Collection Location: Mt Argopuro, East Java, Indonesia 71392
|