New Search Family, Subfamily and Tribe List

SubFamily Cerambycinae

Tribe Elaphidiini
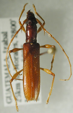
Psyrassa tympanophora Bates 1885

Institution: BCA Biologia Centrali Americana
12807


Institution: EMG Ed Giesbert Collection (now at FSCA)
Collection Location: Izabal, Guatemala
12808

130425