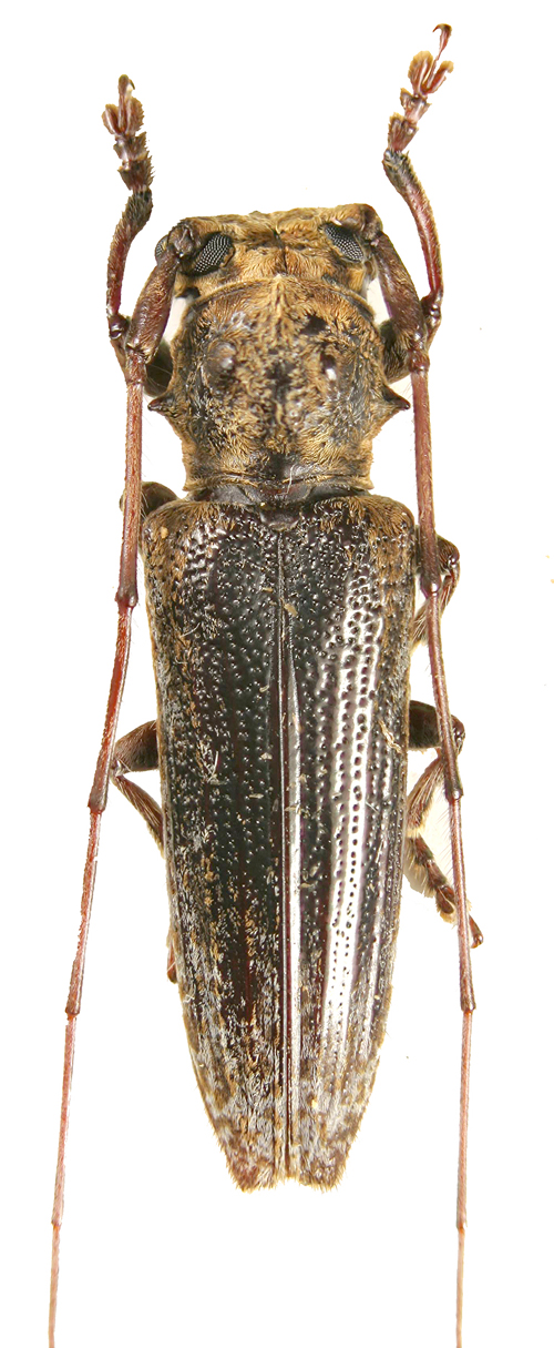
 Pic MNHN Hoa-Binh, Tonkin, Vietnam XG.jpg)
Specimen Type: holotype © MNHN Institution: MNHN Museum of Natural History Paris, France Photographer: Xavier Gouverneur, Cerambycoidea Forum Collection Location: Hoa-Binh, Tonkin, Vietnam 101472
|
_BPBM_Nobuo_Ohbay.jpg)
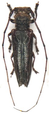
Niphosaperda rondoni Breuning Specimen Type: holotype Sex: m Institution: BPBM Bernice P. Bishop Museum, Honolulu, Hawaii, USA Photographer: Nobuo Ohbayashi Collection Location: Vientiane, Laos 44905
|
_Breuning_BPBM_Nobuo_Ohbay.jpg)
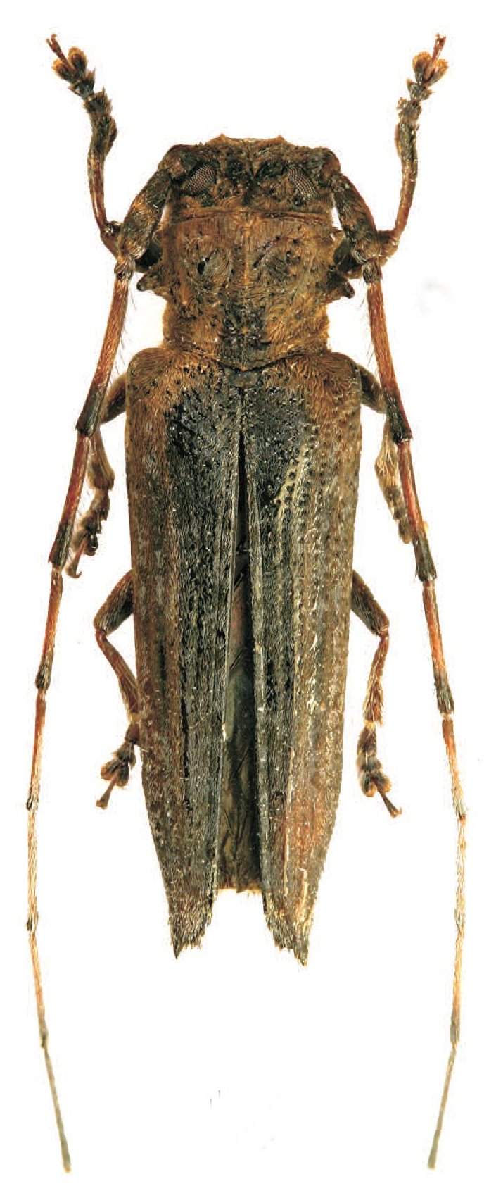
Niphosaperda rondoni Breuning Specimen Type: holotype Sex: m Institution: BPBM Bernice P. Bishop Museum, Honolulu, Hawaii, USA Photographer: Nobuo Ohbayashi Collection Location: Vientiane, Laos 44904
|

Photographer: Sergei Troccoli, Cerambycoidea Forum Determiner: Andreas Weigel, Cerambycoidea Forum Collection Location: Laus Thuy, Vietnam 78327
|
 Pic Mt Phu Pane, Hua Phan Province, Laos Vives coll pic.jpg)
Sex: m Institution: Vives Collection Photographer: Eduard Vives Collection Location: Mt Phu Pane, Hua Phan Province, Laos 96926
|

Photographer: Meiying Lin 41918
|

Institution: LGBC Larry G. Bezark Collection, Sacramento, California, USA Photographer: Larry G. Bezark 48969
|
|