_Breuning_BPBM_Nobuo_Ohbay.jpg)
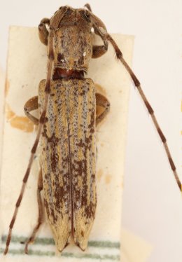
Specimen Type: holotype Sex: f Institution: BPBM Bernice P. Bishop Museum, Honolulu, Hawaii, USA Photographer: Nobuo Ohbayashi Collection Location: Vientiane Region, Laos 43213
|

Specimen Type: holotype Sex: f Determiner: Pacific Insects Monograph Collection Location: Vientiane Region, Laos 32887
|