_Bates_BMNH_col.jpg)
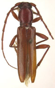
Specimen Type: lectotype Sex: m Institution: BMNH British Museum Natural History, London, UK Photographer: Victor Toledo Collection Location: Acapulco, Guerrero, Mexico 21174
|
_Bates_BMNH_label.jpg)
Specimen Type: lectotype Sex: m Institution: BMNH British Museum Natural History, London, UK Photographer: Victor Toledo Collection Location: Acapulco, Guerrero, Mexico 21175
|

Institution: UCB Essig Museum of Entomology, Berkeley, California, USA Photographer: Larry G. Bezark Determiner: Chemsak Collection Location: Chamela, Jalisco, Mexico 12800
|

Photographer: Larry G. Bezark Collection Location: Jalisco, Mexico 2656
|
|