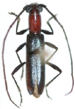
_Bates_BMNH_col.jpg)
Specimen Type: holotype Sex: m Institution: BMNH British Museum Natural History, London, UK Photographer: Victor Toledo Collection Location: Mexico 21171
|
_Bates_BMNH_label.jpg)
Specimen Type: holotype Sex: m Institution: BMNH British Museum Natural History, London, UK Photographer: Victor Toledo Collection Location: Mexico 21170
|
_Bates_BMNH_Mexico_JS_Moure.jpg)
Specimen Type: holotype Sex: m Institution: BMNH British Museum Natural History, London, UK Photographer: J S Moure Collection Location: Mexico 70954
|

Institution: BCA Biologia Centrali Americana 12797
|

Institution: EMG Ed Giesbert Collection (now at FSCA) Collection Location: Izabal, Guatemala 12798
|

Photographer: Steve Lingafelter Collection Location: Nicaragua 26513
|