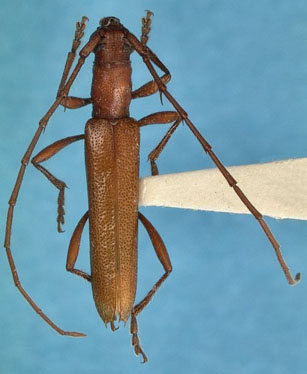
_Casey_USNM_=_Psyrassa_pertenuis.jpg)
Pseudibidion pertenue Casey Specimen Type: holotype Sex: m Institution: NMNH United States National Museum, Washington, DC, USA Collection Location: Florida 26509
|
 Casey NMNH Florida now Psyrassa uis GN.jpg)
Pseudibidion pernetue Casey Specimen Type: holotype Sex: m Institution: NMNH United States National Museum, Washington, DC, USA Photographer: Gino Nearns Collection Location: Florida 81945
|
 Casey NMNH Florida now Psyrassa uis GN.jpg)
Pseudibidion pernetue Casey Specimen Type: holotype Sex: m Institution: NMNH United States National Museum, Washington, DC, USA Photographer: Gino Nearns Collection Location: Florida 81946
|
 Casey NMNH Florida now Psyrassa uis GN.jpg)
Pseudibidion pernetue Casey Specimen Type: holotype Sex: m Institution: NMNH United States National Museum, Washington, DC, USA Photographer: Gino Nearns Collection Location: Florida 81947
|
_FSCA.jpg)
Institution: FSCA Florida State Collection of Arthropods, Gainesville, FL, USA Photographer: Mike Thomas 2655
|
_Acta_Zool_Mex.jpg)
23746
|
|