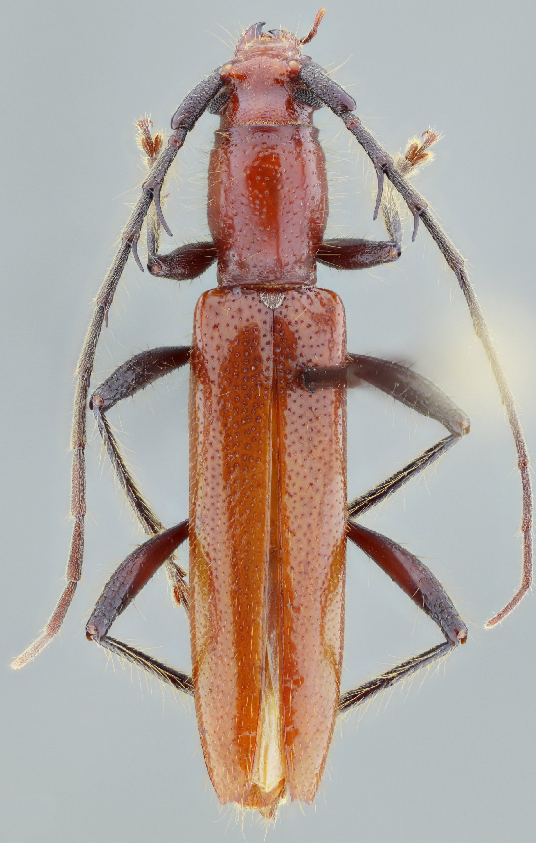
_Linsley_CAS_3864_LGB.jpg)
Specimen Type: holotype Institution: CAS California Academy of Sciences, San Francisco, CA, USA Photographer: Larry G. Bezark 20674
|
 Linsley MZSP Jalisco, Mexico SS.jpg)
Institution: MZSP Museu de Zoologia da Universidade de São Paulo, Brazil Photographer: Antonio Santos-Silva Collection Location: Jalisco, Mexico 23745
|