_Bates_BMNH_col.jpg)
Specimen Type: holotype Sex: m? Institution: BMNH British Museum Natural History, London, UK Photographer: Victor Toledo Collection Location: Acapulco, Guerrero, Mexico 21163
|
_Bates_BMNH_label.jpg)
Specimen Type: holotype Sex: m? Institution: BMNH British Museum Natural History, London, UK Photographer: Victor Toledo Collection Location: Acapulco, Guerrero, Mexico 21162
|

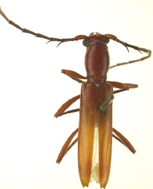
Institution: UCB Essig Museum of Entomology, Berkeley, California, USA Photographer: Larry G. Bezark Determiner: Chemsak Collection Location: Jalisco, Mexico 12793
|
 Bates MZSP Sinaloa, Mexico SS.jpg)
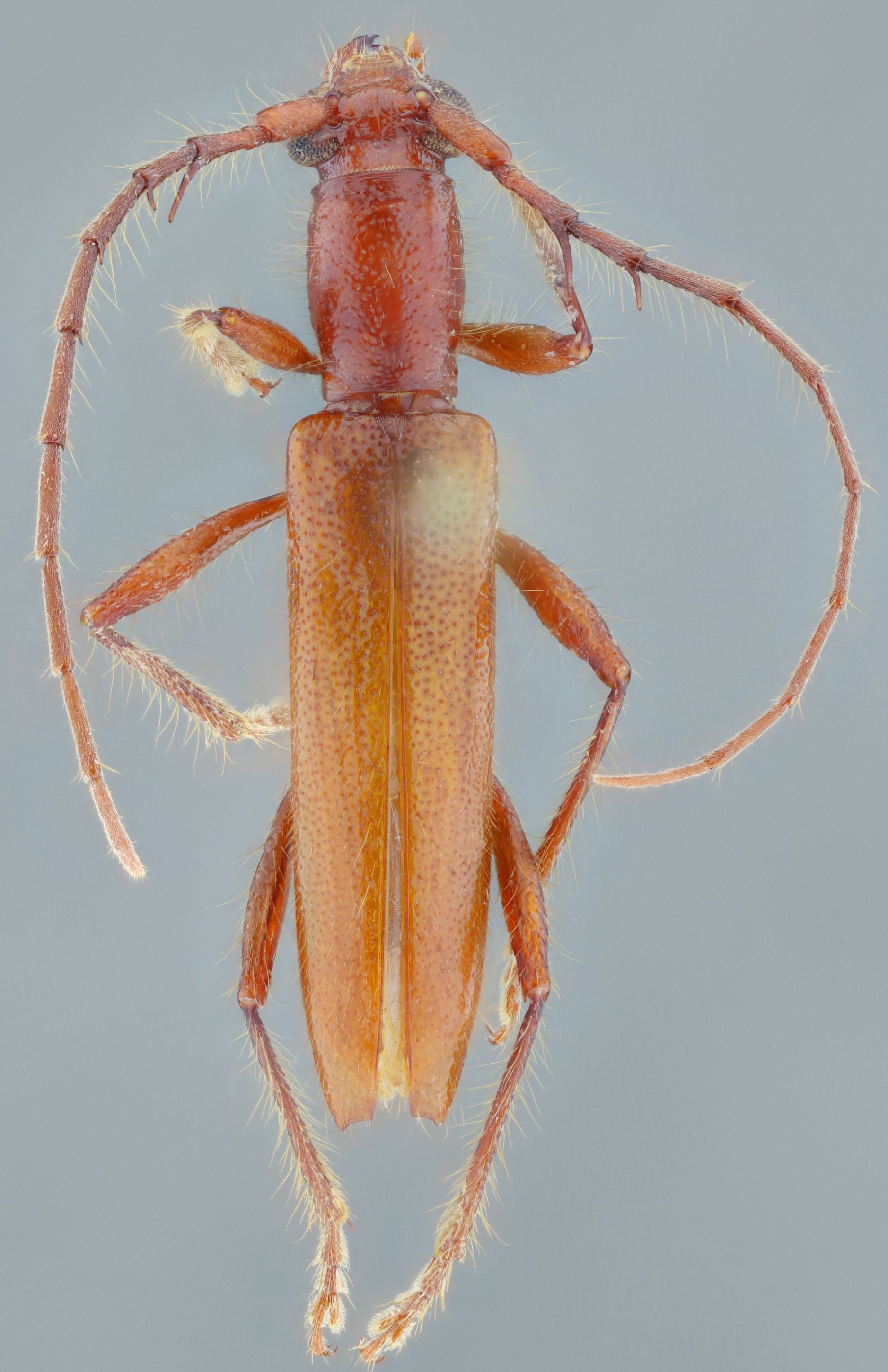
Sex: m Institution: MZSP Museu de Zoologia da Universidade de São Paulo, Brazil Photographer: Antonio Santos-Silva Collection Location: Sinaloa, Mexico 80056
|
|