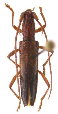
_Toledo_CAS_col.jpg)
Psyrassa linsleyi Toledo Specimen Type: holotype Sex: m Institution: CAS California Academy of Sciences, San Francisco, CA, USA Photographer: Victor Toledo Collection Location: 25 km SE de Morales, Izabal, Guatemala 21161
|
_Toledo_EMEC_Peten_Guatemala2.jpg)
Psyrassa linsleyi Toldeo Specimen Type: paratype Institution: EMEC Essig Museum of Entomology, Berkeley, CA, USA Photographer: Larry G. Bezark Collection Location: Peten, Guatemala 42506
|