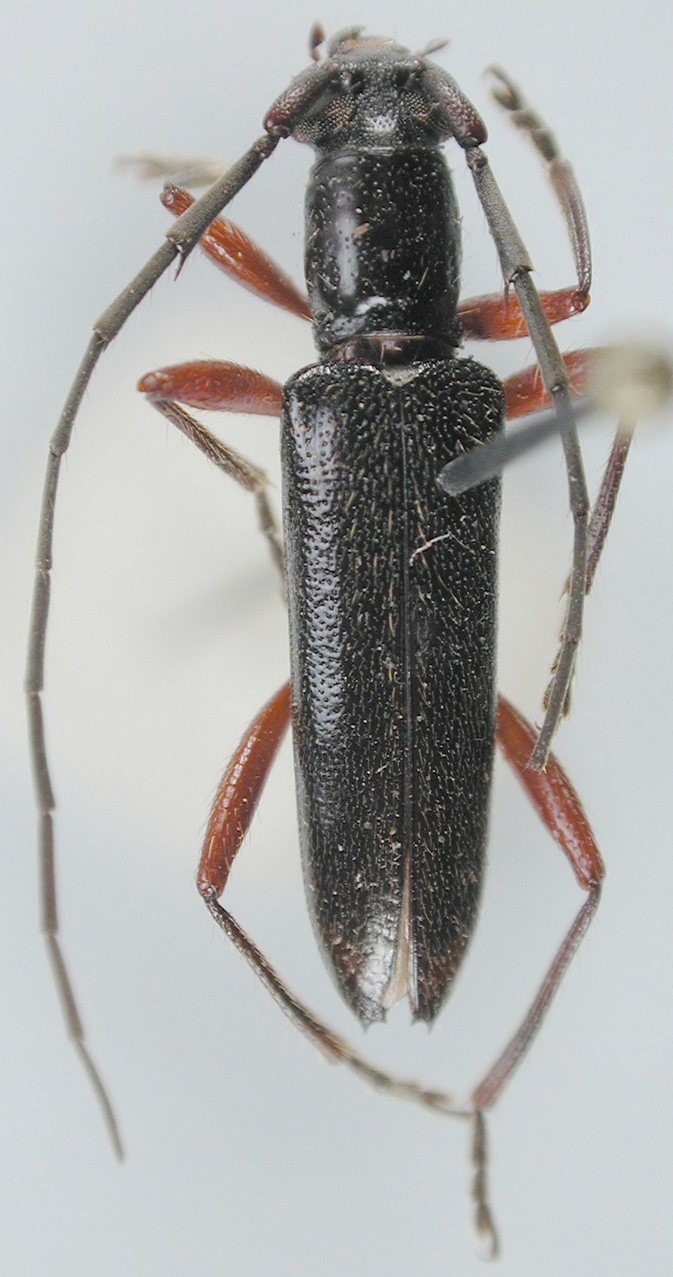
_Linsley_El_Salvador_USNM_SWL.jpg)
Specimen Type: holotype Sex: f? Institution: NMNH United States National Museum, Washington, DC, USA Photographer: Steve Lingafelter Collection Location: San Salvador, El Salvador 12788
|
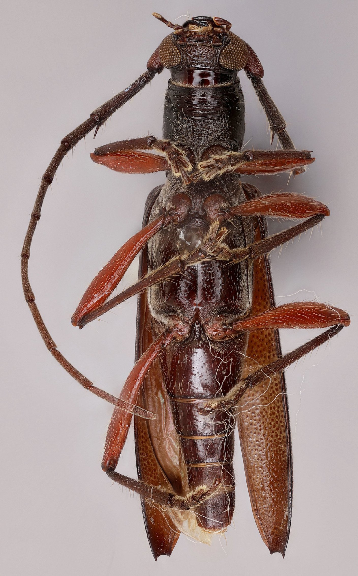
 Lins LGBC Finca Los Tarrales Suchitepequez, Guatemala.jpg)
Sex: f Institution: LGBC Larry G. Bezark Collection, Sacramento, California, USA Photographer: Larry G. Bezark Collection Location: Finca Los Tarrales Suchitepequez, Guatemala 78528
|
 Lins LGBC El Imposible NP, Ahuachapan, El Salvador.jpg)
Sex: m Institution: LGBC Larry G. Bezark Collection, Sacramento, California, USA Photographer: Larry G. Bezark Collection Location: El Imposible Nacional Park, Ahuachapan, El Salvador 78523
|
 Lins LGBC El Imposible NP, Ahuachapan, El Salvador.jpg)
Sex: m Institution: LGBC Larry G. Bezark Collection, Sacramento, California, USA Photographer: Larry G. Bezark Collection Location: El Imposible Nacional Park, Ahuachapan, El Salvador 78525
|
 Lins LGBC El Imposible NP, Ahuachapan, El Salvador.jpg)
Sex: m Institution: LGBC Larry G. Bezark Collection, Sacramento, California, USA Photographer: Larry G. Bezark Collection Location: El Imposible Nacional Park, Ahuachapan, El Salvador 78526
|
 Lins LGBC El Imposible NP, Ahuachapan, El Salvador.jpg)
Sex: m Institution: LGBC Larry G. Bezark Collection, Sacramento, California, USA Photographer: Larry G. Bezark Collection Location: El Imposible Nacional Park, Ahuachapan, El Salvador 78524
|
 Linsley MZSP Guatemala SS.jpg)
Sex: m Institution: MZSP Museu de Zoologia da Universidade de São Paulo, Brazil Photographer: Antonio Santos-Silva Collection Location: Guatemala 80052
|
 Linsley MZSP Guatemala SS.jpg)
Sex: m Institution: MZSP Museu de Zoologia da Universidade de São Paulo, Brazil Photographer: Antonio Santos-Silva Collection Location: Guatemala 80053
|
 Linsley EMEC El Salvador det Toledo Peter Oboyski pic.jpg)
Sex: f Institution: EMEC Essig Museum of Entomology, Berkeley, CA, USA Photographer: Peter Oboyski Collection Location: El Salvador 80054
|
 Linsley EMEC El Salvador det Toledo Peter Oboyski pic.jpg)
Sex: f Institution: EMEC Essig Museum of Entomology, Berkeley, CA, USA Photographer: Peter Oboyski Collection Location: El Salvador 80055
|
|