_Linsley_CAS_4434_LGB.jpg)
Specimen Type: holotype Sex: m Institution: CAS California Academy of Sciences, San Francisco, CA, USA Photographer: Larry G. Bezark Collection Location: Venedio (El Venadillo), Sinaloa, Mexico 20673
|

Institution: UCB Essig Museum of Entomology, Berkeley, California, USA Photographer: Larry G. Bezark Determiner: Chemsak Collection Location: Chamela, Jalisco, Mexico 12787
|
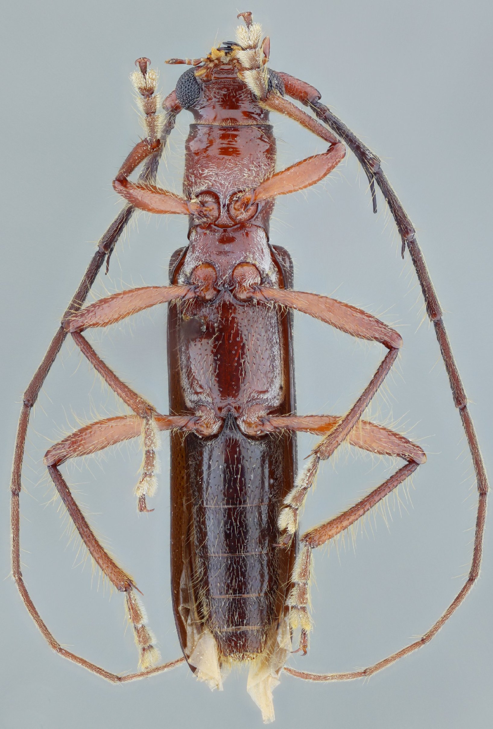
 Linsley MZSP from Jalisco, Mexico SS.jpg)
Sex: m Institution: MZSP Museu de Zoologia da Universidade de São Paulo, Brazil Photographer: Antonio Santos-Silva Collection Location: Jalisco, Mexico 80044
|
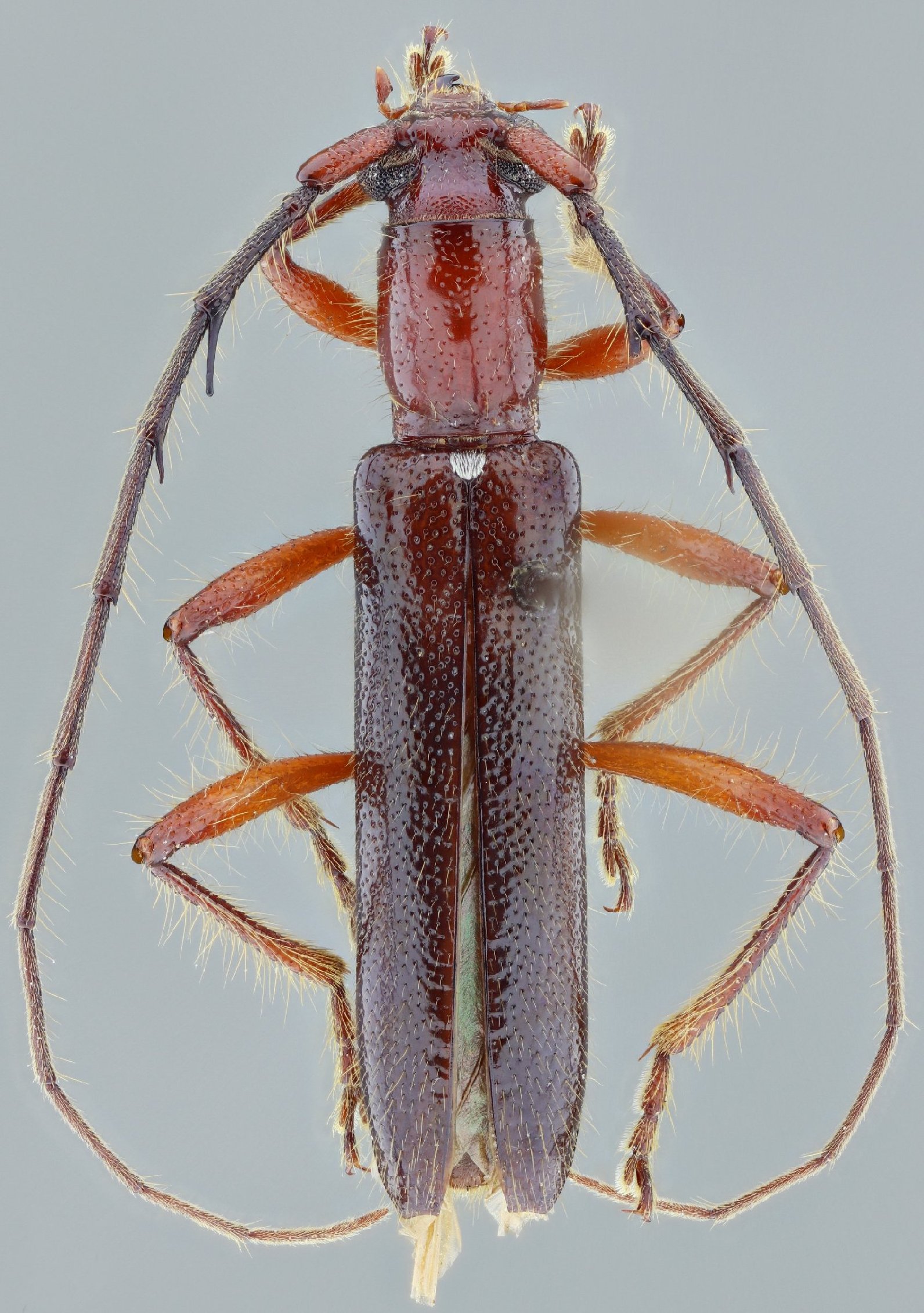
 Linsley MZSP from Jalisco, Mexico SS.jpg)
Sex: m Institution: MZSP Museu de Zoologia da Universidade de São Paulo, Brazil Photographer: Antonio Santos-Silva Collection Location: Jalisco, Mexico 80045
|
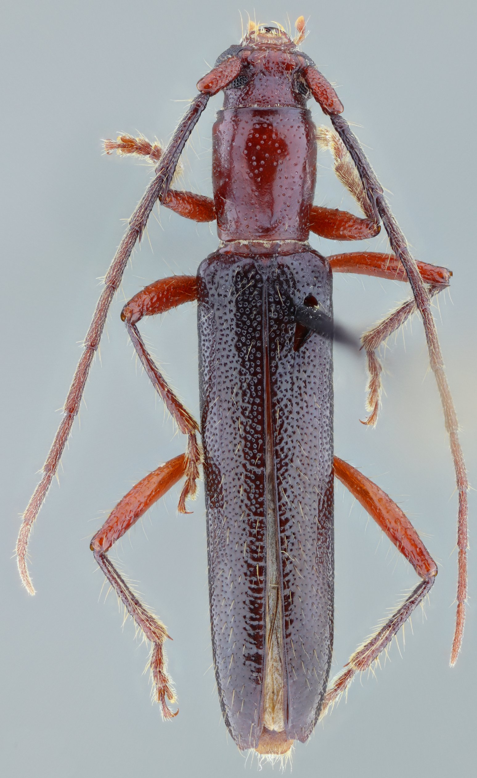
 Linsley MZSP from Jalisco, Mexico SS.jpg)
Sex: m Institution: MZSP Museu de Zoologia da Universidade de São Paulo, Brazil Photographer: Antonio Santos-Silva Collection Location: Jalisco, Mexico 80046
|
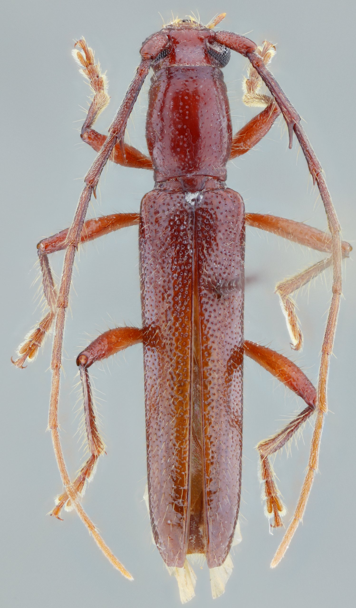
 Linsley MZSP from Jalisco, Mexico SS.jpg)
Sex: m Institution: MZSP Museu de Zoologia da Universidade de São Paulo, Brazil Photographer: Antonio Santos-Silva Collection Location: Jalisco, Mexico 80047
|
 Linsley MZSP from Jalisco, Mexico SS.jpg)
Sex: f Institution: MZSP Museu de Zoologia da Universidade de São Paulo, Brazil Photographer: Antonio Santos-Silva Collection Location: Jalisco, Mexico 80048
|
 Linsley MZSP from Michoacan, Mexico SS.jpg)
Sex: f Institution: MZSP Museu de Zoologia da Universidade de São Paulo, Brazil Photographer: Antonio Santos-Silva Collection Location: Michoacán, Mexico 80049
|
 Linsley MZSP from Michoacan, Mexico SS.jpg)
Sex: m Institution: MZSP Museu de Zoologia da Universidade de São Paulo, Brazil Photographer: Antonio Santos-Silva Collection Location: Michoacán, Mexico 80050
|
 Linsley MZSP from Jalisco, Mexico SS.jpg)
Sex: f Institution: MZSP Museu de Zoologia da Universidade de São Paulo, Brazil Photographer: Antonio Santos-Silva Collection Location: Jalisco, Mexico 80051
|
|