_Bates_BMNH_JAC_=_Psyrassa_cribricollis_(Bates).jpg)
Periboeum cribricolle Bates Specimen Type: holotype Sex: f? Institution: BMNH British Museum Natural History, London, UK Photographer: John Chemsak Collection Location: Almolonga, Veracruz, Mexico 18070
|
_Bates_BMNH_Tav_Mexico_=_Psyrassa_cribricollis_(Bates).jpg)
Periboeum cribricolle Bates Specimen Type: holotype Sex: f? Institution: BMNH British Museum Natural History, London, UK Photographer: Gerard Tavakilian Collection Location: Almolonga, Veracruz, Mexico 18071
|
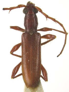
_Bates_BMNH_=_Psyrassa_cribricollis.jpg)
Periboeum cribricolle Bates Specimen Type: holotype Sex: f? Institution: BMNH British Museum Natural History, London, UK Collection Location: Almolonga, Veracruz, Mexico 20604
|
_Bates_BMNH_col.jpg)
Psyrassa punctulata Bates Specimen Type: holotype Sex: f Institution: BMNH British Museum Natural History, London, UK Photographer: Victor Toledo Collection Location: Acapulco, Guerrero, Mexico 21168
|
_Bates_BMNH_label.jpg)
Psyrassa punctulata Bates Specimen Type: holotype Sex: f Institution: BMNH British Museum Natural History, London, UK Photographer: Victor Toledo Collection Location: Acapulco, Guerrero, Mexico 21169
|
_BCA_a_Periboeum.jpg)
Institution: BCA Biologia Centrali Americana Collection Location: Periboeum 12786
|
|