New Search Family, Subfamily and Tribe List

SubFamily Lamiinae

Tribe Ancylonotini
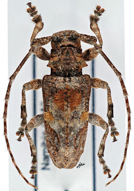
Idactus strandi plurifasciculatus Breuning 1955

Sex: m
Photographer: JP Roguet, https://lamiinae.org
Collection Location: Hoabib river, Namibia
51194


Sex: f
Photographer: JP Roguet, https://lamiinae.org
Collection Location: Hoabib river, Namibia
51195


Collection Location: Namibia
51196

130425