_Det_Martins_Sao_Paolo_Brazil_UCB.jpg)
Institution: UCB Essig Museum of Entomology, Berkeley, California, USA Photographer: Larry G. Bezark Determiner: Martins Collection Location: Sao Paolo, Brazil 12573
|
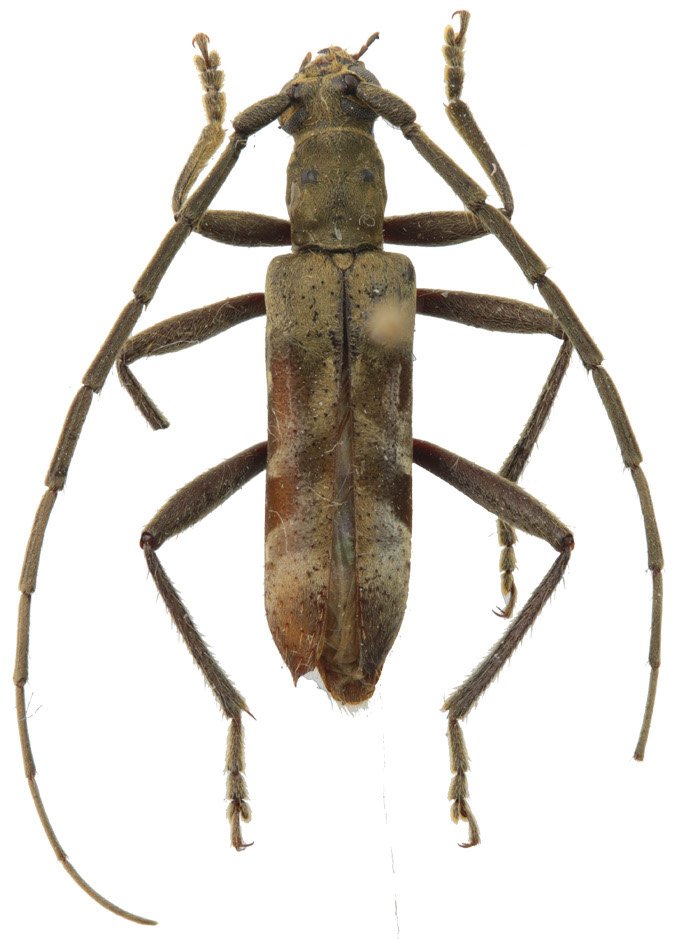
_(Gounelle)_Ceu_Azul_Parana_Brazil_Rafael_Barros_pic.jpg)
Sex: m Institution: MZUEL Museum of Zoology, State University of Londrina, Brazil Photographer: Rafael Barros Collection Location: Céu Azul, Paraná, Brazil 74416
|