New Search Family, Subfamily and Tribe List

SubFamily Lamiinae

Tribe Agapanthiini
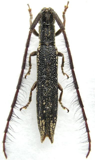
Tetraglenes diuroides Ritsema 1885

Photographer: Shinichi Befu, Cerambycoidea Forum
Collection Location: Malay Peninsula
79719

130425