New Search Family, Subfamily and Tribe List

SubFamily Lamiinae

Tribe Agapanthiini
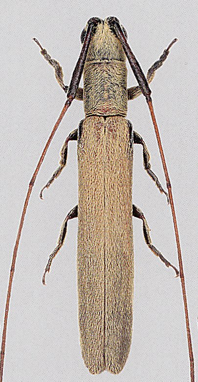
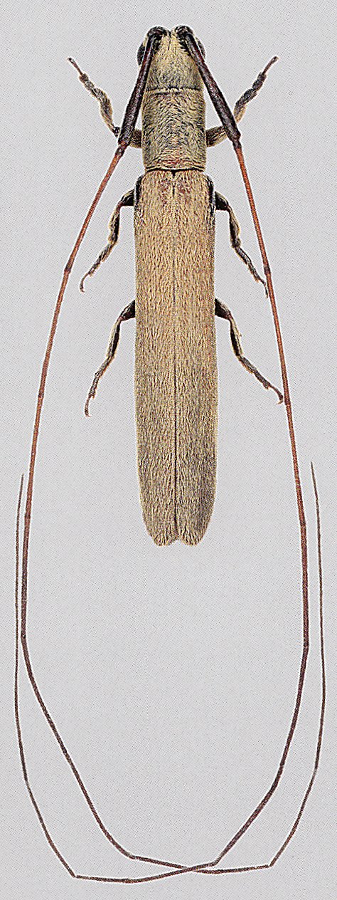
Pseudohippopsis filicornis Gestro 1895

Sex: m
Photographer: Karl Adlbauer
Collection Location: Ethiopia
72802


Sex: m
Photographer: Karl Adlbauer
Collection Location: Ethiopia
72803

130425