New Search Family, Subfamily and Tribe List

SubFamily Lamiinae

Tribe Agapanthiini
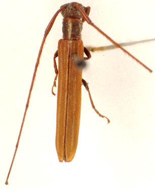
Pseudocalamobius rufipennis Gressitt 1942

Specimen Type: holotype
Institution: AMNH American Museum of Natural History, New York, NY, USA
Collection Location: Xizang, Tibet, China
58069

130425