New Search Family, Subfamily and Tribe List

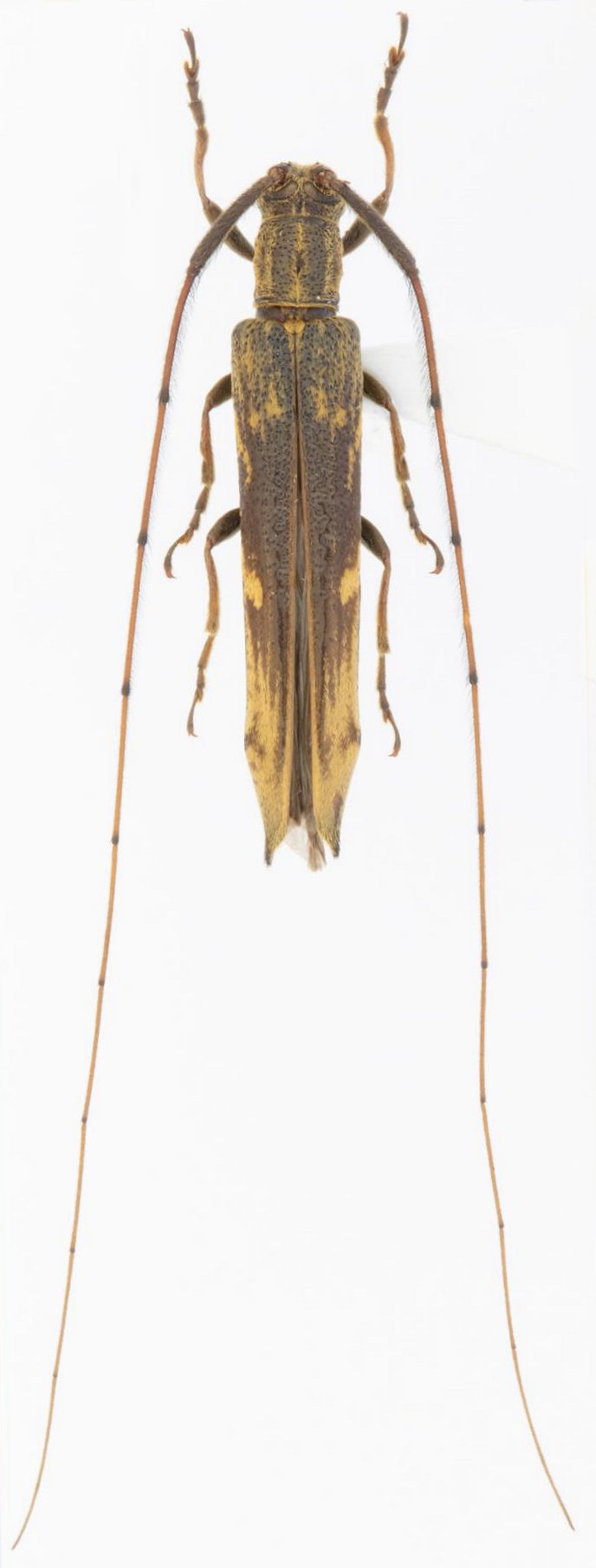
SubFamily Lamiinae

Tribe Agapanthiini
Pseudocalamobius luteonotatus Pic 1908

Photographer: Ping Wang, Cerambycoidea Forum
Determiner: Olivier Gregory, Cerambycoidea Forum
Collection Location: Bukidonon, Mindanao, Philippines
79680

130425