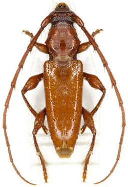
 Erichson ZMHB Peru now Perib Bernd Jaeger.jpg)
Mallocera pilifera Erichson Specimen Type: holotype Sex: m Institution: ZMHB Museum für Naturkunde der Humboldt-Universität, Berlin, Germany Photographer: Bernd Jaeger Collection Location: Peru 81449
|
 Erichson ZMHB Peru now Perib Bernd Jaeger.jpg)
Mallocera pilifera Erichson Specimen Type: holotype Sex: m Institution: ZMHB Museum für Naturkunde der Humboldt-Universität, Berlin, Germany Photographer: Bernd Jaeger Collection Location: Peru 81450
|
 Erichson ZMHB Peru now Perib Bernd Jaeger.jpg)
Mallocera pilifera Erichson Specimen Type: holotype Sex: m Institution: ZMHB Museum für Naturkunde der Humboldt-Universität, Berlin, Germany Photographer: Bernd Jaeger Collection Location: Peru 81451
|
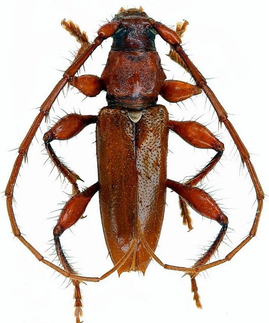
_Erichson_MNHU_JAC_=_Periboeum_piliferum.jpg)
Mallocera pilifera Erichson Specimen Type: holotype Sex: m Institution: ZMHB Museum für Naturkunde der Humboldt-Universität, Berlin, Germany Photographer: John Chemsak Collection Location: Peru 17248
|
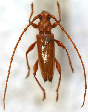
_Gounelle_MNHN_FTH.jpg)
Periboeum latericium Gounelle Specimen Type: syntype Institution: MNHN Museum of Natural History Paris, France Collection Location: Jatai, Goias, Brazil 18075
|

Photographer: Jim Wappes Collection Location: Bolivia 11853
|
_MNRJ_SWL.jpg)
Institution: MNRJ Museu Nacional Universidade do Rio Janeiro, Brazil Photographer: Steve Lingafelter 11867
|
_MZSP_SWL.jpg)
Institution: MZSP Museu de Zoologia da Universidade de São Paulo, Brazil Photographer: Steve Lingafelter Collection Location: Bolivia 11868
|
_Fr_Guinea_Faure.jpg)
Photographer: Denis Faure Collection Location: French Guiana 29222
|
_Kaw_FG_JLG.jpg)
Photographer: Jean-Louis Giuglaris Collection Location: Kaw, French Guiana 29223
|