New Search Family, Subfamily and Tribe List

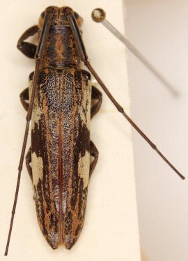
SubFamily Lamiinae

Tribe Agapanthiini
Pothyne variegatoides Breuning 1968

Specimen Type: holotype
Institution: BPBM Bernice P. Bishop Museum, Honolulu, Hawaii, USA
Photographer: Nobuo Ohbayashi
Collection Location: Ban Van Heua, région du Phou Khaokhoay, Laos
45175

130425