
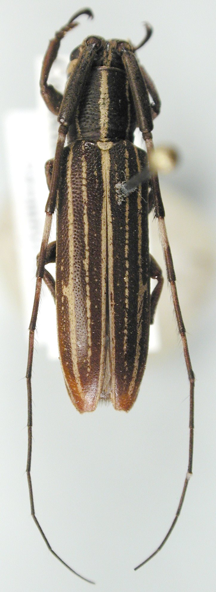
Institution: JCPC Jim Cope Collection, San Jose, California, USA now at CSCA, Sacramento Photographer: Larry G. Bezark Determiner: Jim Cope Collection Location: Carmiguin, Luzon, Philippines 99551
|

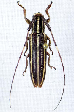
Photographer: Estan Cabigas Collection Location: Mindanao, Philippines 57470
|