New Search Family, Subfamily and Tribe List

SubFamily Lamiinae

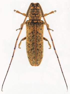
Tribe Agapanthiini
Phelipara subvittata Blair 1933

Photographer: Slipinski & Escalona
55722


Photographer: Slipinski & Escalona
55723

130425