New Search Family, Subfamily and Tribe List

SubFamily Lamiinae

Tribe Agapanthiini
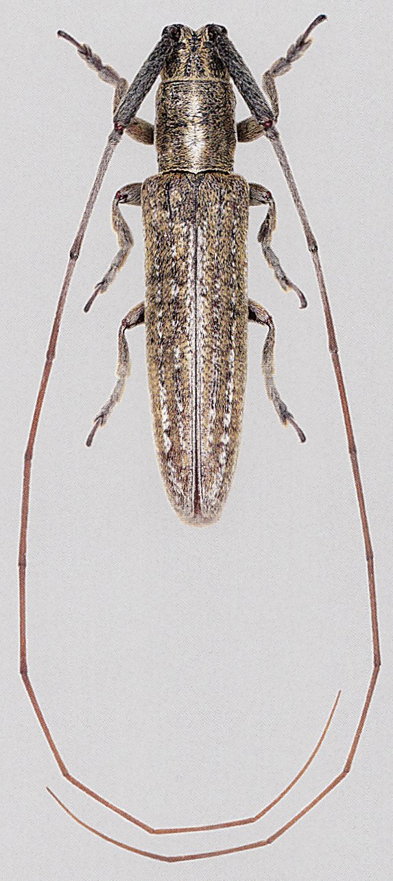
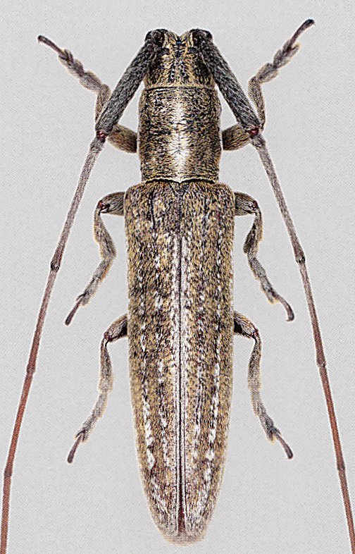
Hyllisia vittipennis Breuning 1940

Sex: m
Photographer: Karl Adlbauer
Collection Location: Ethiopia
72576


Sex: m
Photographer: Karl Adlbauer
Collection Location: Ethiopia
72577

130425