New Search Family, Subfamily and Tribe List

SubFamily Lamiinae

Tribe Agapanthiini
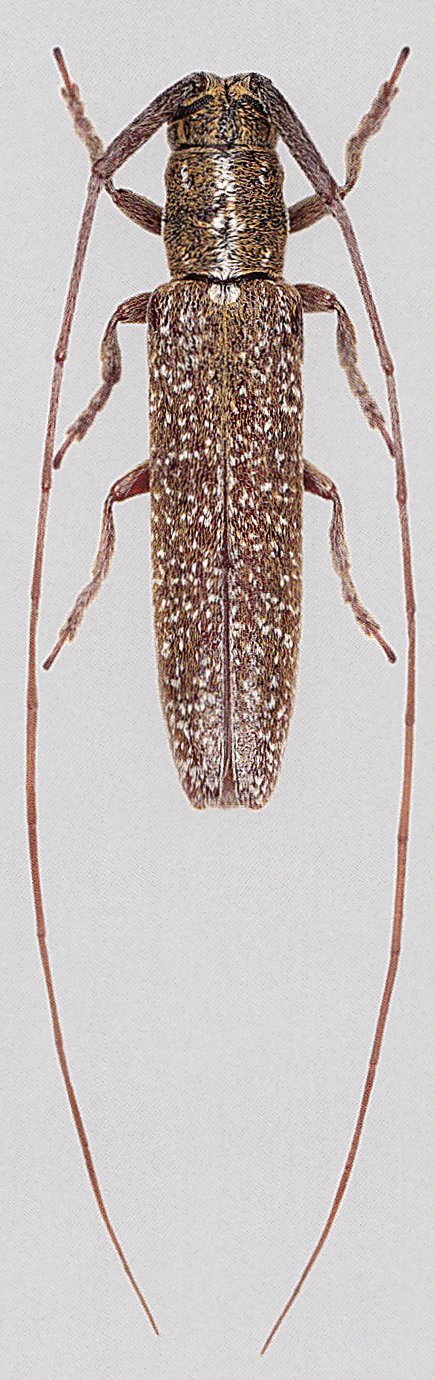
Hyllisia trivittata Breuning 1940

Sex: m
Photographer: Karl Adlbauer
Collection Location: Ethiopia
72571


Sex: m
Photographer: Karl Adlbauer
Collection Location: Ethiopia
72572


Sex: f
Photographer: Karl Adlbauer
Collection Location: Ethiopia
72573

130425