New Search Family, Subfamily and Tribe List

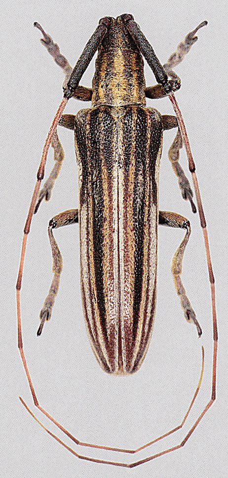
SubFamily Lamiinae

Tribe Agapanthiini
Hyllisia abyssinica Teocchi, Jiroux & Sudre 2004

Sex: m
Photographer: Karl Adlbauer
Collection Location: Ethiopia
72552

130425