New Search Family, Subfamily and Tribe List

SubFamily Lamiinae

Tribe Agapanthiini
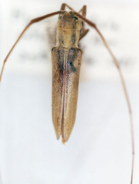
Hippocephala suturalis Aurivillius 1920

Institution: CAS California Academy of Sciences, San Francisco, CA, USA
Photographer: Larry G. Bezark
Determiner: Gressitt
50882


Photographer: Jim Cope
Collection Location: China
51100

130425