
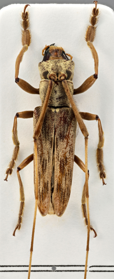
Specimen Type: probably this taxon Sex: m Institution: LGBC Larry G. Bezark Collection, Sacramento, California, USA Photographer: Larry G. Bezark Determiner: Xavier Gouverneur, Cerambycoidea Forum Collection Location: Lai Chau, Vietnam 95661
|

Specimen Type: probably this taxon Sex: m Institution: LGBC Larry G. Bezark Collection, Sacramento, California, USA Photographer: Larry G. Bezark Determiner: Xavier Gouverneur, Cerambycoidea Forum Collection Location: Lai Chau, Vietnam 95662
|

Specimen Type: probably this taxon Institution: Devesa Collection Photographer: Sergio Devesa Determiner: Xavier Gouverneur, Cerambycoidea Forum Collection Location: Cameron Highlands, Malaysia 95663
|

Specimen Type: probably this taxon Institution: Devesa Collection Photographer: Sergio Devesa Determiner: Xavier Gouverneur, Cerambycoidea Forum Collection Location: Cameron Highlands, Malaysia 95664
|

Specimen Type: probably this taxon Institution: Devesa Collection Photographer: Sergio Devesa Determiner: Xavier Gouverneur, Cerambycoidea Forum Collection Location: Cameron Highlands, Malaysia 95665
|
|