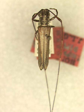
_Gressitt_China_USNM.jpg)
Specimen Type: holotype Sex: m Institution: NMNH United States National Museum, Washington, DC, USA Photographer: Steve Lingafelter Collection Location: Xiangshan, Jiangxi, China 50879
|
_Gressitt_CAS.jpg)
Specimen Type: allotype Sex: a Institution: CAS California Academy of Sciences, San Francisco, CA, USA Photographer: Larry G. Bezark Collection Location: Xiangshan, Jiangxi, China 50880
|