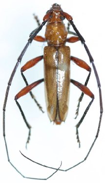
_Fisher_NMNH_JAC_=_Parastizocera_procera_(Erichson).jpg)
Stizocera rubricollis Fisher Specimen Type: holotype Institution: NMNH United States National Museum, Washington, DC, USA Photographer: John Chemsak Collection Location: Caprito, Monagas, Venezuela 18609
|
_Fisher_Venezuela_USNM_SWL_=_Parastizocera_procera_(Erichson).jpg)
Stizocera rubricollis Fisher Specimen Type: holotype Institution: NMNH United States National Museum, Washington, DC, USA Photographer: Steve Lingafelter Collection Location: Caprito, Monagas, Venezuela 13629
|
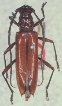
_Erichson_MNHU_JAC_=_Parastizocera_procera.jpg)
Sphaerion procerum Erichson Specimen Type: holotype Sex: m Institution: ZMHB Museum für Naturkunde der Humboldt-Universität, Berlin, Germany Photographer: John Chemsak Collection Location: French Guiana 18529
|
_Pascoe_BMNH_Tav_Brasil_=_Parastizocera_procera_(Erichson).jpg)
Sphaerion suturale Pascoe Specimen Type: holotype Institution: BMNH British Museum Natural History, London, UK Photographer: Gerard Tavakilian Collection Location: Brasil 18531
|
_Pascoe_BMNH_Brazil_now_Parastizocera_procera_LGB.jpg)
Sphaerion suturale Pascoe Specimen Type: holotype Institution: BMNH British Museum Natural History, London, UK Photographer: Larry G. Bezark Collection Location: Brazil 47324
|
.jpg)
11739
|
_Det._Lingafelter_Guanacaste_Costa_Rica_UCB.jpg)
Institution: UCB Essig Museum of Entomology, Berkeley, California, USA Photographer: Larry G. Bezark Determiner: Lingafelter Collection Location: Guanacaste, Costa Rica 11740
|

Photographer: Steve Lingafelter Collection Location: Nicaragua 26326
|

Photographer: Julien Touroult Collection Location: Grenada, West Indies 46347
|
|