New Search Family, Subfamily and Tribe List

SubFamily Lamiinae

Tribe Agapanthiini
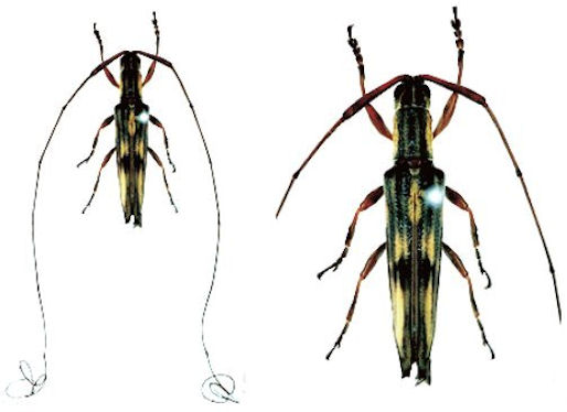
Cleptometopus javanicus Breuning 1943

Photographer: Makihara
Collection Location: W Java
35442


Photographer: Makihara
Collection Location: W Java
35443

130425