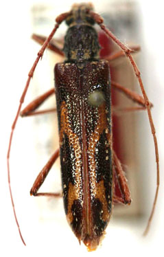
_Fonseca-Gessner_MZSP_SWL.jpg)
Specimen Type: paratype Institution: MZSP Museu de Zoologia da Universidade de São Paulo, Brazil Photographer: Steve Lingafelter 11705
|

Institution: UCB Essig Museum of Entomology, Berkeley, California, USA Photographer: Larry G. Bezark Determiner: Lingafelter Collection Location: Colombia 11706
|