 Fonseca-Gessner MZSP El Limbo, Cochabamba, Bolivia now Eurysthea SS.jpg)
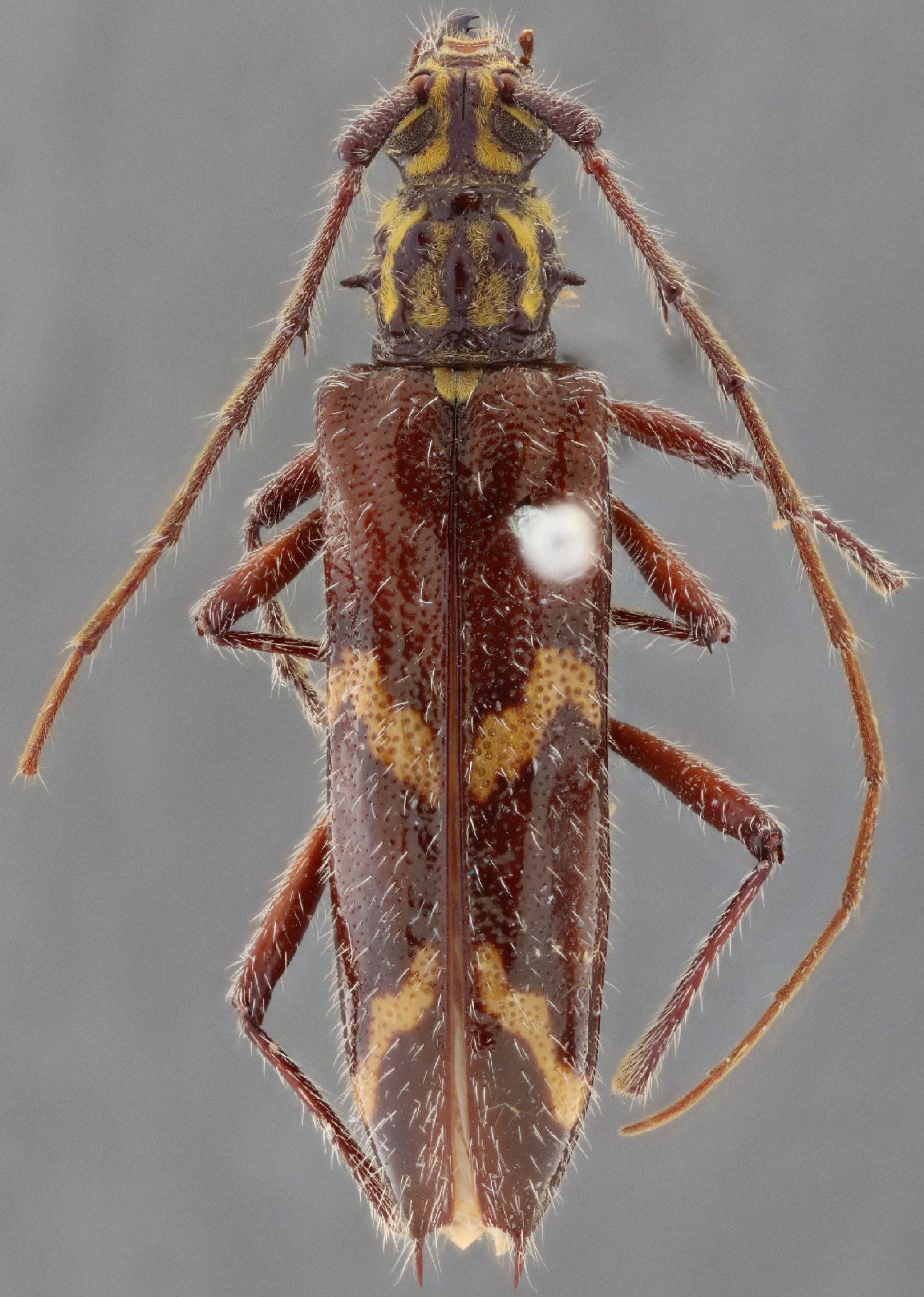
Eurysthea martinsi Fonseca-Gessner Specimen Type: holotype Sex: f Institution: MZSP Museu de Zoologia da Universidade de São Paulo, Brazil Photographer: Antonio Santos-Silva Collection Location: El Limbo, Cochabamba, Bolivia 77491
|

Paramallocera martinsi Fonseca-Gessner Specimen Type: holotype Sex: f Institution: MZSP Museu de Zoologia da Universidade de São Paulo, Brazil Photographer: Steve Lingafelter Collection Location: El Limbo, Cochabamba, Bolivia 11702
|