New Search Family, Subfamily and Tribe List

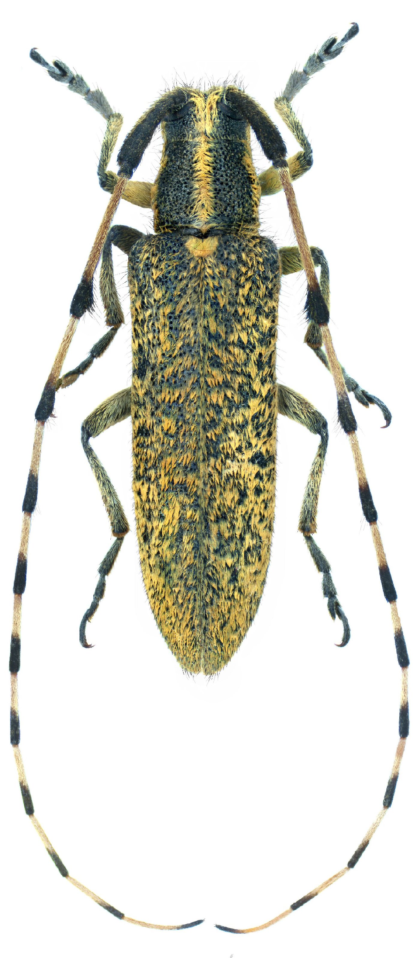
SubFamily Lamiinae

Tribe Agapanthiini
Agapanthia dahlii persica Semenov 1893

Photographer: Michal Hoskovec
Collection Location: Golestan Forest, Minudast, NE Iran
31422


Photographer: Udo Schmidt
Collection Location: 5 km W Pol-e-Zanguleh, Chara Bagh Protected Area, Alborz Mtns, N Iran
81211

130425