New Search Family, Subfamily and Tribe List

SubFamily Lamiinae

Tribe Agapanthiini
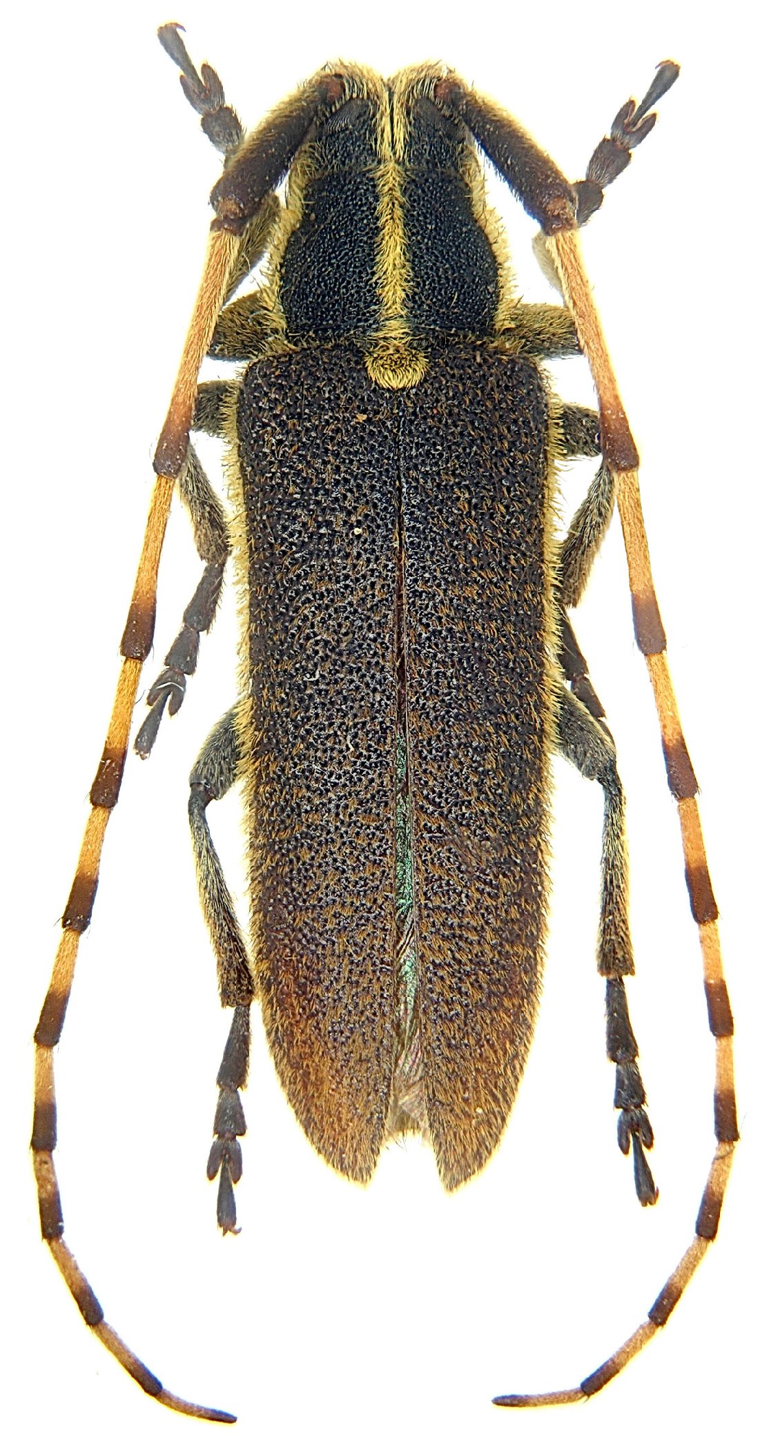
Agapanthia obydovi Danilevsky 2000

Specimen Type: holotype, paratype
Sex: mf
Determiner: Lambillionea
Collection Location: Kazakhstan
31418


Specimen Type: paratype
Photographer: Mikhail Danilevsky
Collection Location: Koshengel, Kazakhstan
81304

130425