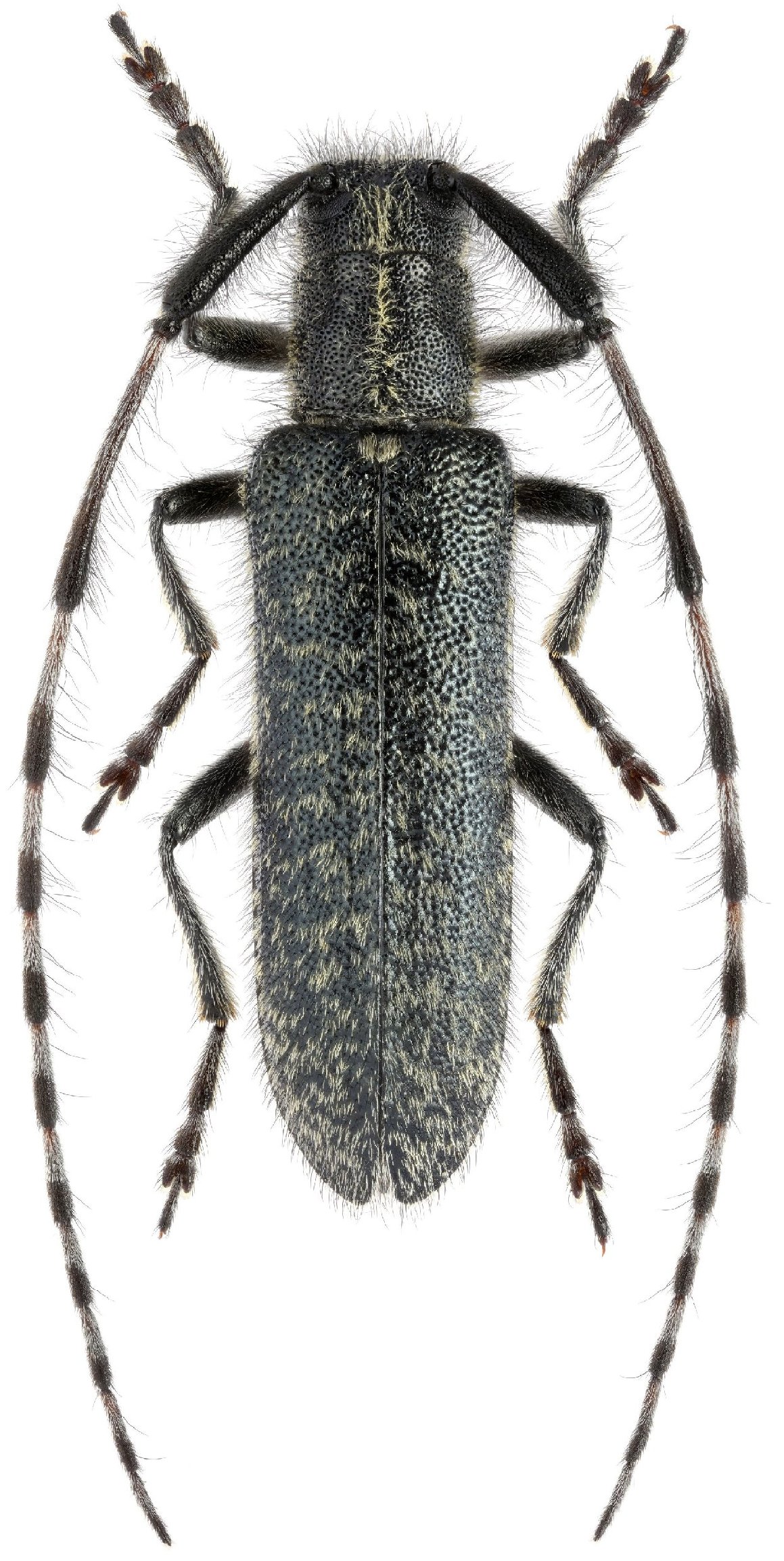
_daurica_Gangl_Maykhe_River_nr_Nikolaevka_Suchan_Berlov.jpg)
Photographer: O. E. Berlov Collection Location: Maykhe River, nr Nikolaevka, Suchan 31347
|
_daurica_(lateral)_Gangl_Maykhe_River_nr_Nikolaevka_Suchan_Berlov.jpg)
Photographer: O. E. Berlov Collection Location: Maykhe River, nr Nikolaevka, Suchan 31348
|

Institution: LGBC Larry G. Bezark Collection, Sacramento, California, USA Photographer: Larry G. Bezark Collection Location: Komsomolsk, Amurland, Russia 31390
|
 Krivonozhka River, Kunashir Isl, Yunznho-Kurilsky dist, Sakhalin Region, Russian Far East Makarov.jpg)
Sex: m Photographer: Kirill V. Makarov Collection Location: Krivonozhka River, Kunashir Island, Sakhalin Region, Russian Far East 81213
|
|