_Holzschuh_Kazakhstan_Azkar_Dzambul.jpg)
Agapanthia amabilis Holzschuh Specimen Type: holotype Sex: m Institution: Holzschuh Determiner: Schrift. Forstlichen Bundesversuchsanstalt Collection Location: Akzar, Dzambul, Kazakhstan 31368
|
_Holzschuh_CAS.jpg)
Agapanthia amabilis Holzschuh Specimen Type: paratype Institution: CAS California Academy of Sciences, San Francisco, CA, USA Collection Location: Akzar, Dzambul, Kazakhstan 31369
|

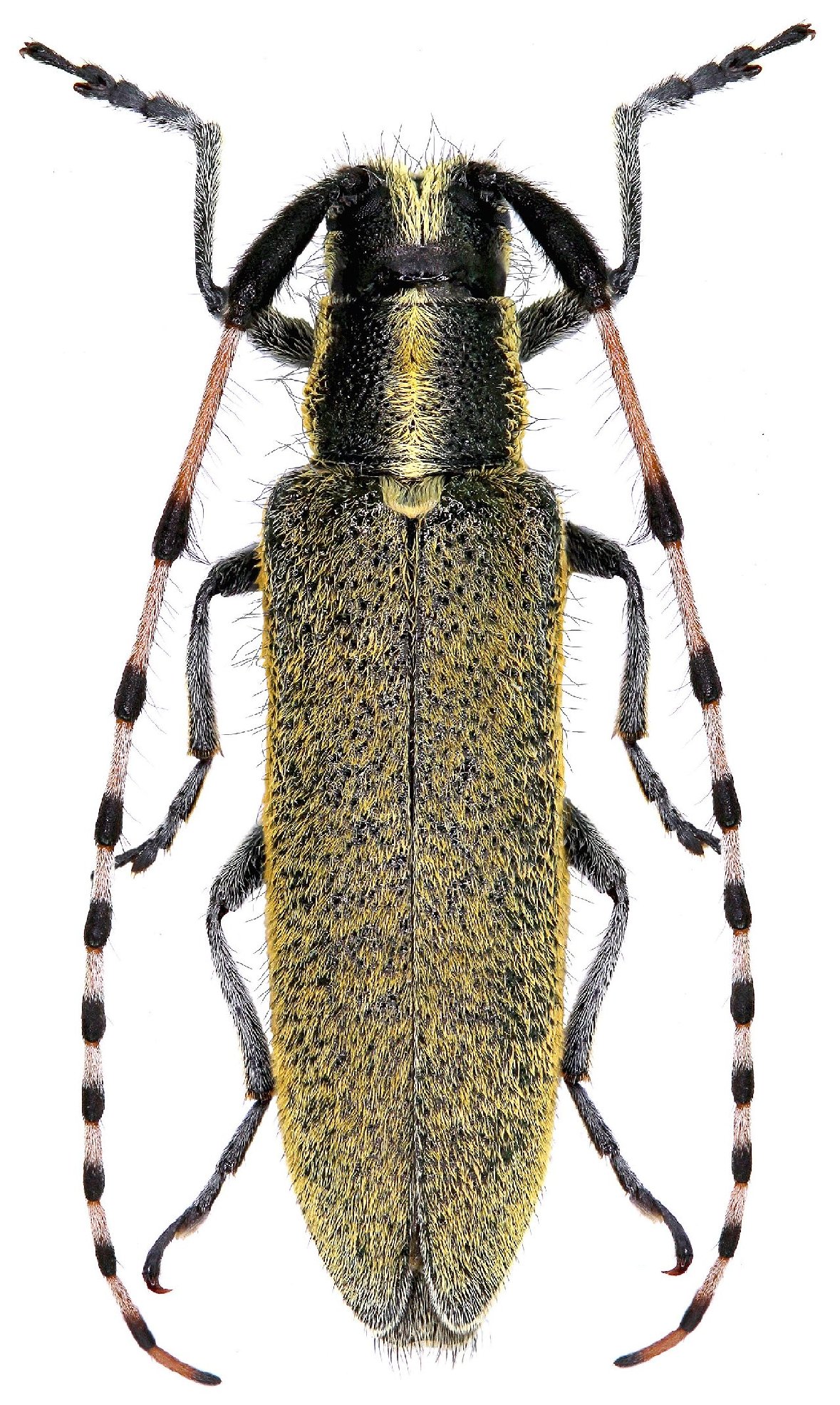
Institution: LGBC Larry G. Bezark Collection, Sacramento, California, USA Photographer: Larry G. Bezark Collection Location: Balkhash Lake, SE Kazakhstan 31370
|

Photographer: Sergey Kolov Collection Location: 47 km SE Aktogay, Alakol District, Almaty Region, Kazakhstan 80947
|
|