_Br_CNC_Tafo_Ghana_lineolat_Lap.jpg)
Aderpas flavolineatus Breuning Specimen Type: holotype Institution: CNC Canadian National Collection of Insects, Ottawa, Ontario, Canada Photographer: Serge Laplante, photograph and data Determiner: Copyright of
Agriculture & Agri Food Canada Collection Location: Tafo, Ghana 62865
|
_Br_CNC_Tafo_Ghana_lineolat_Lap.jpg)
Aderpas flavolineatus Breuning Specimen Type: holotype Institution: CNC Canadian National Collection of Insects, Ottawa, Ontario, Canada Photographer: Serge Laplante, photograph and data Determiner: Copyright of
Agriculture & Agri Food Canada Collection Location: Tafo, Ghana 62866
|
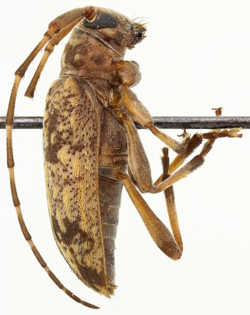
_Br_CNC_Tafo_Ghana_lineolat_Lap.jpg)
Aderpas flavolineatus Breuning Specimen Type: holotype Institution: CNC Canadian National Collection of Insects, Ottawa, Ontario, Canada Photographer: Serge Laplante, photograph and data Determiner: Copyright of
Agriculture & Agri Food Canada Collection Location: Tafo, Ghana 62867
|

Determiner: Les Cahiers Magellanes Collection Location: Ivory Coast 31173
|
|