_Skiles_UCB.jpg)
Specimen Type: allotype Sex: f Institution: UCB Essig Museum of Entomology, Berkeley, California, USA Collection Location: Quintana Roo, Mexico 17958
|
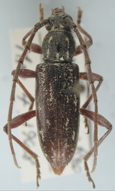
_Skiles_Quintana_Roo_UCB.jpg)
Specimen Type: paratype Institution: UCB Essig Museum of Entomology, Berkeley, California, USA Photographer: Larry G. Bezark Collection Location: Quintana Roo, Mexico 11500
|