_Lacey_AMNH_BCI_Panama_=_topographicus.jpg)
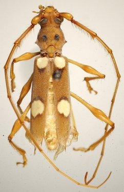
Nyssicus setosus Lacey Specimen Type: holotype Sex: m Institution: AMNH American Museum of Natural History, New York, NY, USA Collection Location: Barro Colorado island, Canal Zone, Panama 27859
|
_Lacey_AMNH_JAC_=_Nyssicus_topographicus_Linsley.jpg)
Nyssicus setosus Lacey Specimen Type: holotype Sex: m Institution: AMNH American Museum of Natural History, New York, NY, USA Photographer: John Chemsak Collection Location: Barro Colorado Island, Canal Zone, Panama 17539
|
_Linsley_CAS_4085_LGB_=_Nyssicus.jpg)
Eburodacrys topographicus Linsley Specimen Type: holotype Sex: m Institution: CAS California Academy of Sciences, San Francisco, CA, USA Photographer: Larry G. Bezark Collection Location: Ciricito, Canal Zone, Panama 20282
|

Photographer: Larry G. Bezark Collection Location: Barro Colorado Island, Panama 10660
|

Institution: MZSP Museu de Zoologia da Universidade de São Paulo, Brazil Photographer: Steve Lingafelter 10661
|
|