New Search Family, Subfamily and Tribe List

SubFamily Lamiinae

Tribe Acanthocinini
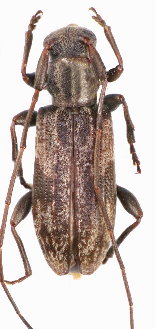
Striononyma flavovariegata Breuning 1961

Sex: m
Institution: Vives Collection
Photographer: Eduard Vives
Collection Location: Socorro, Mindoro, Philippines
78359

130425