_Breuning_BPBM_Nobuo_Ohbay.jpg)
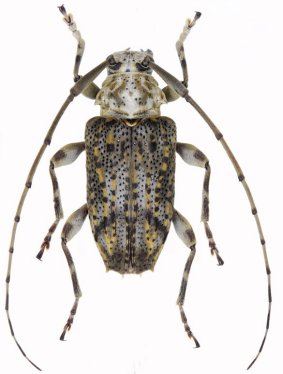
Paracanthocinus laosensis Breuning Specimen Type: holotype Institution: BPBM Bernice P. Bishop Museum, Honolulu, Hawaii, USA Photographer: Nobuo Ohbayashi Collection Location: Plaine des Jarres, région de Xieng Khouang, Laos 45048
|
_Breuning_BPBM_Nobuo_Ohbay.jpg)
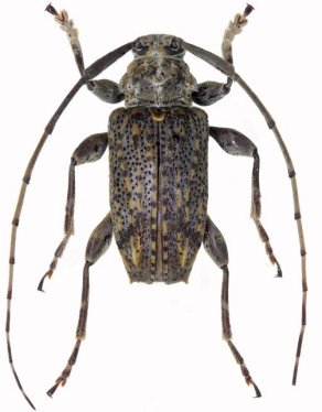
Paracanthocinus laosensis Breuning Specimen Type: holotype Institution: BPBM Bernice P. Bishop Museum, Honolulu, Hawaii, USA Photographer: Nobuo Ohbayashi Collection Location: Plaine des Jarres, région de Xieng Khouang, Laos 45049
|

Institution: CAS California Academy of Sciences, San Francisco, CA, USA Photographer: Larry G. Bezark 55440
|
_(Breuning)_Laos_XG.jpg)
Sex: m Photographer: Xavier Gouverneur, Cerambycoidea Forum Collection Location: Laos 58766
|
_(Breuning)_Laos_XG.jpg)
Sex: f Photographer: Xavier Gouverneur, Cerambycoidea Forum Collection Location: Laos 58767
|
|