_Bez_SS_Gal_CAS_2 km E La Ceiba_Anzoategui_Venezuela.jpg)
Specimen Type: holotype Sex: m Institution: CAS California Academy of Sciences, San Francisco, CA, USA Photographer: Antonio Santos-Silva Collection Location: 2 km E La Ceiba, Anzoategui, Venezuela 52787
|
_Bez_SS_Gal_CAS_2 km E La Ceiba_Anzoategui_Venezuela.jpg)
Specimen Type: holotype Sex: m Institution: CAS California Academy of Sciences, San Francisco, CA, USA Photographer: Antonio Santos-Silva Collection Location: 2 km E La Ceiba, Anzoategui, Venezuela 52788
|
_Bez_SS_Gal_CAS_2 km E La Ceiba_Anzoategui_Venezuela.jpg)
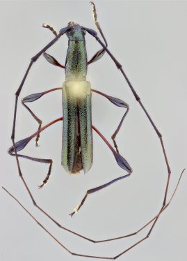
Specimen Type: holotype Sex: m Institution: CAS California Academy of Sciences, San Francisco, CA, USA Photographer: Antonio Santos-Silva Collection Location: 2 km E La Ceiba, Anzoategui, Venezuela 52789
|
|