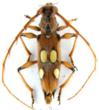
_Erichson_MNHU_JAC_=_Nyssicus_conspicillatus.jpg)
Mallocera conspicillata Erichson Specimen Type: holotype Institution: ZMHB Museum für Naturkunde der Humboldt-Universität, Berlin, Germany Photographer: John Chemsak Collection Location: Peru 17245
|
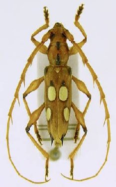
 MEFEIS Reserva Palmas, Tocantins, Brazil SS.jpg)
Sex: f Institution: MEFE Museu de Ent da Faculdade de Engenharia de Ilha Solteira, Univ Estadual, Sao Paolo, Brazil Photographer: Antonio Santos-Silva Collection Location: Reserva Palmas, Tocantins, Brazil 10654
|
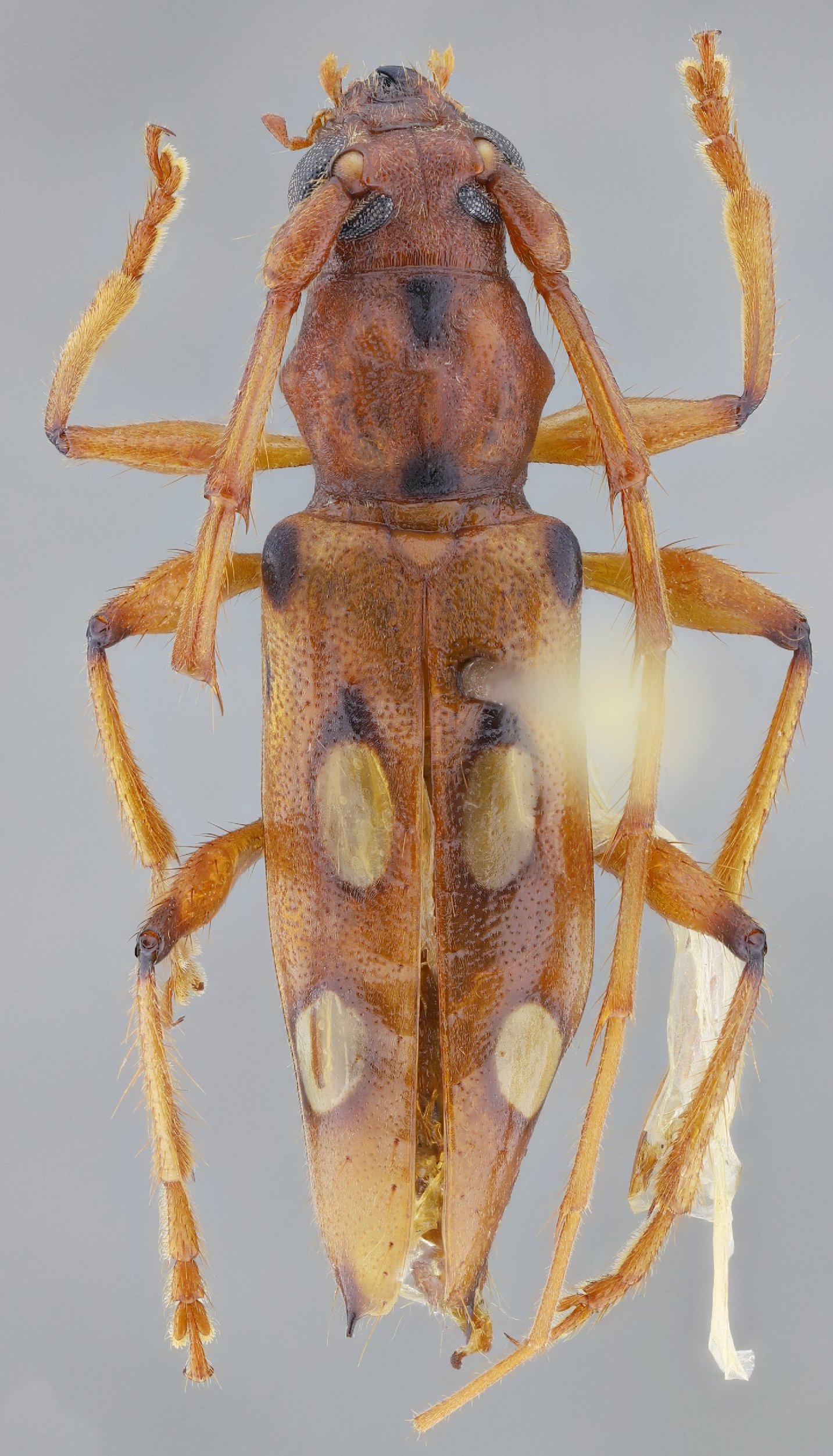
_MZSP_SWL.jpg)
Institution: MZSP Museu de Zoologia da Universidade de São Paulo, Brazil Photographer: Steve Lingafelter 10656
|
_Faure_French_Guiana.jpg)
Photographer: Denis Faure Collection Location: French Guiana 22127
|

Photographer: Jean-Louis Giuglaris Collection Location: Belizon, French Guiana 29212
|
_Peru_Dalens_photo.jpg)
Photographer: Dalens Collection Location: Peru 30586
|
_French_Guiana_Dalens_photo.jpg)
Photographer: Dalens Collection Location: French Guiana 30587
|