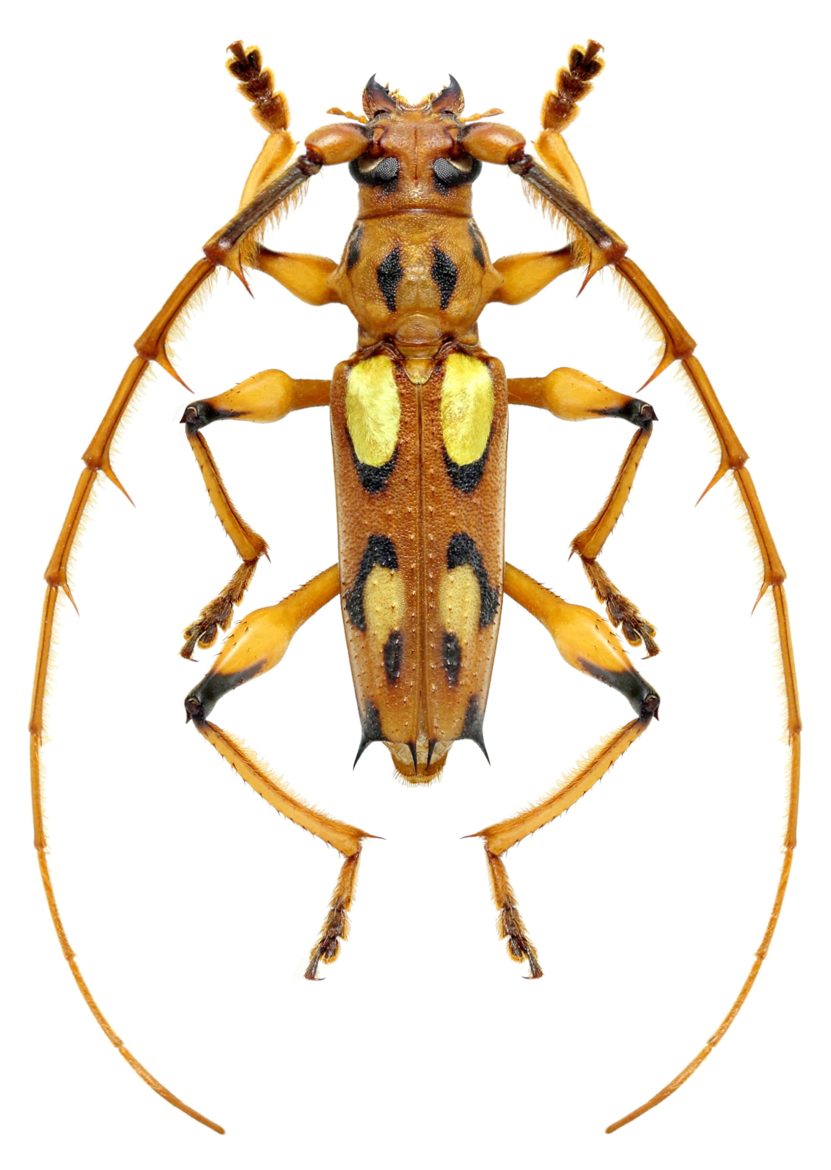
_Lacey_AMNH_JAC.jpg)
Cerambyx aureopilosus Swederus Specimen Type: holotype Institution: AMNH American Museum of Natural History, New York, NY, USA Photographer: John Chemsak Collection Location: Honduras 17538
|
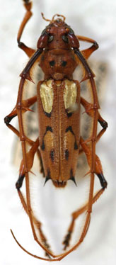
 (Lacey) Montagne des Kaw, French Guiana Robin.jpg)
Sex: m Photographer: Frédéric Robin Collection Location: Montagne des Kaw, French Guiana 78441
|
.jpg)
Institution: FTH Frank T. Hovore collection (now at California Academy of Sciences) Photographer: Larry G. Bezark Collection Location: km1 Napo-Galeras road, Napo Province, Ecuador 28250
|
.jpg)
Institution: FTH Frank T. Hovore collection (now at California Academy of Sciences) Photographer: Larry G. Bezark Collection Location: km1 Napo-Galeras road, Napo Province, Ecuador 28251
|

Photographer: Larry G. Bezark 10653
|
_MZSP_SWL.jpg)
Institution: MZSP Museu de Zoologia da Universidade de São Paulo, Brazil Photographer: Steve Lingafelter 10658
|
_as_Nyssicus_aureopilosus_Faure_French_Guiana.jpg)
Photographer: Denis Faure Collection Location: French Guiana 22129
|