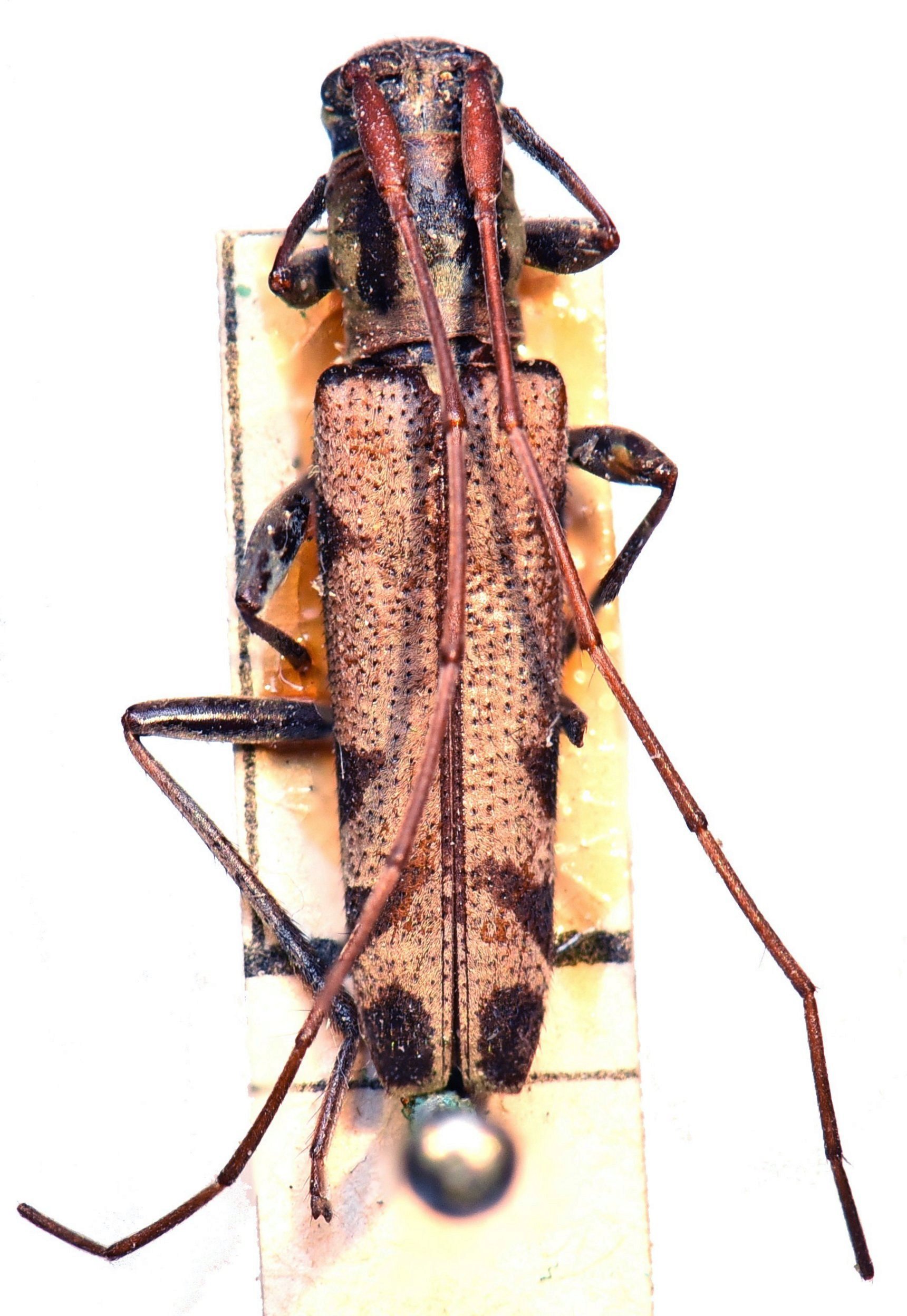
 IRSNB Pedong, Darjeeling, India Locatelli2.jpg)
Specimen Type: paratype©IRSNB Institution: IRSNB Royal Belgian Institute of Natural Sciences, Brussels, Belgium Photographer: Camille Locatelli Collection Location: Pedong, Darjeeling, India 77792
|
 IRSNB Pedong, Darjeeling, India Locatelli2.jpg)
Specimen Type: paratype©IRSNB Institution: IRSNB Royal Belgian Institute of Natural Sciences, Brussels, Belgium Photographer: Camille Locatelli Collection Location: Pedong, Darjeeling, India 77793
|